Skip to main content
Intended for healthcare professionals
Free access
Research article
First published online January 17, 2024

Mapping a good society model in Ayatollah Khomeini’s religious political thought: Possibilities and challenges

Abstract

This article identifies the components of a good society in the thought of Ayatollah Khomeini. Over several decades, he experienced a voluntary and compulsory odyssey-like journey, the result of which was theorizing about a good society and Islamic government. From the young Ayatollah Khomeini to the late “Imam” Khomeini, several images are attributed to him. We find that the good society can be realized according to pure Mohammadian Islam and religious democracy. We claim that Khomeini’s thought evolved in the face of the Other and this Other has changed the perception of his identity and thought over time. This study shows that in a historical continuum, there are two breaks along the religious-political thought of Khomeini. Contrary to the common orthodox image of him, we claim that despite the contradictions, his thought has the capacity to reconcile Islam and modernity in a new religious-political framework. Nevertheless, one can observe the transformation, the elitist view, and the multiplicity of positions in his political, cultural, and social opinions.

Introduction

As the architect of the Iranian Revolution of 1979, Ayatollah Khomeini (1902–89) remains one of the most inspirational and enigmatic figures of the twentieth century (Adib-Moghaddam 2014). He was undoubtedly the most important figure in the construction of the idea of clerical guardianship (Farhi 2003, 58). Mirsepassi (2003) also mentioned that he has forced the religious tradition into a situation where it does not belong. Ayatollah Khomeini was described by his biographer Baqer Moin as a “skilled practitioner of clerical politics,” a “master tactician,” and a “supreme strategist” (Sabet 2014, 39).
In Western discourse, Ayatollah Khomeini is remembered by many as a dictator who wanted a broader return to an “authentic Islam” or fundamentalism (Adib-Moghaddam 2014, 28; Mirsepassi and Keshavarzian 2021, 17). Some believe that he created a state that was doomed to be deemed “backward” by the rest of the world. Ghamari Tabrizi (2008, 13) highlights the way in which the western perception of the Iranian revolution is rooted in a recognition of such movements as fundamentalist and diametrically opposed to modern conceptions of “progress.”
We argue that this image was in fact a false caricature; it was of a backward, reactionary, close-minded, fundamentalist Mullah disconnected from the modern world, attempting to guide Iran back to an anti-modern, Islamic golden age. It is, however a gross oversimplification of one of the twentieth century's most capable and influential politicians and world leaders. According to the Abrahamian (1993), populism is a more apt term for describing Ayatollah Khomeini, his ideas, and his movement because this term is associated with ideological adaptability and intellectual flexibility, with political protests against the established order, and with socioeconomic issues that fueled mass opposition to the status quo. Ayatollah Khomeini, like populists the world over, modified his rhetoric depending on political circumstances (Abrahamian 1993). Some argue that he was a pragmatist–opportunist; he would say one thing to Iranians to secure their support for the revolution and do something else in practice (Adib-Moghaddam 2014, 33; Ghamari Tabrizi 2014, 238). On the other hand, he has been understood by some Iranians reformist thinkers as a progressive thinker whose philosophical endeavors, regardless of their practical outcomes, highlight the importance of reconciling Islam and modernity (Hossainzadeh 2016).
Ayatollah Khomeini would be understood as the politician figurehead, the philosopher, and the spiritual leader in Iran and in large swathes of the Islamic world. Stempel (1981, 311) also was attesting to the fact that Ayatollah Khomeini, viewed from whatever perspective, was not an ordinary man (Sabet 2014, 67). By all standards available, Ayatollah Khomeini was a giant of the twentieth century (Adib-Moghaddam 2014). The political aspiration of Sayyid Qutb as well as Hasan Al-Banna was to create an Islamic state, which Ayatollah Khomeini achieved. Ayatollah Khomeini said, “Islam for the human being has a thesis, and Islam has a plan (Khomeini 1999, Vol 4, 9). In the context of Ayatollah Khomeini’s doctrine, it is better to consider Islam as a general universal plan (Sardar 2006). The ultimate goal for him was the reconstruction of society according to Islamic principles and in this way, gaining political power is considered a necessary prelude. Khomeini actually initiated a revolution within Shi’ism and creates the framework for a good society based on the text of the Qur’an and doctrine of Shi’a Islam (Arjomand 1988). He repeatedly stated that the purpose of Islamic government is to develop the world and the hereafter of the people and to create a religious ideal society. In his political and social life, he tried to formulate the framework of the good society but this was not an organized and codified plan; it emerged between his formal and informal speeches and gradually in his books gradually so we must analyze his thoughts diachronically. In this study, we aim to identify the components of a good society in Ayatollah Khomeini’s thought to deconstruct the stereotypical image and problematize the caricature that has been created of him so far. Besides, we will question how many images of Ayatollah Khomeini can be imagined.

Methodology

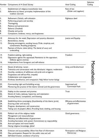
In this study, the components and aspects of a “good society” in the thought of Ayatollah Khomeini have been questioned. Therefore, we have studied Ayatollah Khomeini’s thought and beliefs in order to analyze his thoughts to achieve components of a good society. The data analysis was done using coding methods. Coding is the operation in which data is parsed, conceptualized, and put together in a new way (Flick 1988). Therefore, in this research, after line-by-line coding of the texts, the initial concepts were extracted and then, by comparing and identifying the similarities between cases and concepts, we extracted the final categories and types. In this study, we first came to forty initial codes or components of a good society. At this stage, we tried to form code categories using Spradley’s method (Saldana 2009). Then, by comparing and identifying the homogeneity and similarities between items and concepts, we extracted the final categories. By studying the texts written or spoken by Ayatollah Khomeini as well as his views on the Islamic society, after a coding process, we came to ten selective codes and one final code (Table 1).
Table 1. Components of the Good Society in Ayatollah Khomeini’s thought.
Table 2. Binary Opposition in Ayatollah Khomeini’s thought.
Pure Muhammadian IslamAmerican Islam
Monotheistic IslamSecular Islam
Glory and honorHumiliation
Authentic and pureManipulated and eclectic
Revolution and uprisingCompromise, submission and passivity
Jihad and martyrdomCaptivity and bondage
IndependenceDependence on colonialism
Reliance on GodFear of contemporary power
Attention to worldly and otherworldly affairsWorldliness and monasticism
ReasonDogma
ReligiosityDebauchery and corruption
UnityMultiplicity
Focused on the oppressed and deprivedFocused on capitalism

Ayatollah Khomeini's Ontology

Mentioning historical context to Ayatollah Khomeini’s ontological discourse, it might be worth to suggest that forty years passed from the birth of Ayatollah Khomeini in 1901 to the fall of Reza Shah in 1941. He saw two specific periods of the Qajar and Pahlavi governments as well as international events. During the First World War and its influence in Iran, Khomein (a city in Markazi province of Iran) was considered one of the centers of gravity of the war and the meeting place of the German, British, and Russian forces. Khomein was the place where Ayatollah Khomeini spent his youth. In this way, Ayatollah Khomeini closely faced the colonial forces in Iran, and the influence of colonialism and their role in Iran was completely clear to him (Omid 1994).
These decades coincide with coup by Reza Khan who during the period between the coup and the coronation, was strongly in favor of the support and spread of the Shia religion but after reaching the kingdom and feeling no need for the religious institutions, he changed his past policies and stood against the institution of religion. Simultaneously Qom Seminary was established under the leadership of Abdul Karim Haeri. He was one of the main teachers of Ayatollah Khomeini who he always praised and glorified in his speeches and writings. As a young seminarian and cleric, however, Ayatollah Khomeini avoided expressing opinions on political topics. Ayatollah Boroujerdi passed away in 1961. The departure of Boroujerdi as the sole source of emulation created a crisis of authority in the Shi‘i seminaries. Ayatollah Khomeini, who was Boroujerdi’s teaching assistant and personal secretary, had never disputed the quietism of his mentor. His death, however, opened up new ways of interpreting Islam (Kian 2014, 174 in Adib-Moghaddam 2014). By the time of the death of Ayatollah Boroujerdi, Ayatollah Khomeini received a degree in ijtihad and ascended to the status of being a mujtahid. He became an authority of imitation (Marja-e Taqlid), attaining the rank of Ayatollah and formed his ontology and discourse gradually. In these years, the young Ayatollah Khomeini shared Haeri’s interest in Islamic mysticism (irfan) (Zibakalam 2014, 261). The arrest of Mossadeq and the return of the Mohammad Reza Shah to power marks the end of the era of independence, nationalism, and self-sufficiency and the beginning of a blind pursuit of modernization (Omid 1994).
Ayatollah Khomeini’s understanding of Islam was primarily in ontological rather than ontic terms. According to Khomeini’s ontology, God is the basis of existence. He directs whatever he has created to their end according to his wisdom and prudence. Ayatollah Khomeini’s ontology is a monotheistic ontology. The monotheistic school means that the essence of the universe is from and towards God: no creature was created in vain and without purpose. In the monotheistic view, man and all the components of the universe, are the creatures of a powerful creator and all are his servant. God is the only source for determining the ends of human beings in all dimensions of life.
In the ontology of Ayatollah Khomeini, the macrocosm means all the universe and beings other than humans. The microcosm is the human being and it is said that the microcosm is a copy and sampling of the macrocosm. “Man is the collection of all the universe; a small version. This creature is a copy of the whole universe man but some of it is actual, some of it is potential” (Khomeini 1999, 11:219). All the characteristics that exist in the world are in humans, but they are talents and these talents must be realized. Man who was chosen by God as his caliph and successor on earth, is a two-dimensional being and cannot be reduced to material bodies. The human race has a special privilege and superiority among other beings. In the other words, man is the supreme creation (ashraf-e makhloqat) of God and has been created to achieve a sublime goal. Based on this conception of the soul, Ayatollah Khomeini spoke of the ultimate end goal of self-purification as annihilating one’s lower self in order to become god-like. In Ayatollah Khomeini’s doctrine, the starting point of the transcendence is the practice of shari’ah in the field of individual and social life; he calls this process the “arc of ascension” (Khomeini 1999, 10:48). Khomeini, posited a move from the material to the spiritual realm (refinement from above and the move to the spiritual realm), to be accomplished by both the individual and society which ultimately brings human to the monotheistic stage.
While Ayatollah Khomeini argued that all human beings are equally capable of achieving enlightenment, he maintained that they are not all equally successful in that pursuit. From Khomeini’s point of view, man is a creature that has the possibility of degeneration and corruption, so he always needs guidance. The existence of a religious leader and a religious institution in the social and political arena is for the purpose of guiding and refining the individual and the society. From his standpoint, man always needs an authority that has superiority and religious and political leadership over the ordinary man. He believed that people cannot distinguish between what is good and what is bad for them so they need an ideological religious apparatus. He reached the conclusion that in order to achieve and realize Islam in Islamic countries, changing the nature of government is necessary. Ayatollah Khomeini was also convinced that it was hard to live as a pious Muslim under a secular regime so he established a vast movement to reach his goal as an avant-garde religious leader (Owen 2016). According to Khomeini, the government does not have only worldly functions. “One side of Islam is government and politics, the other side is human guidance” (Khomeini 1999, 4:449). He asserted that the need for Islamic government stems from the tendency of average men to stray from the path of righteousness. He said the training of the ideal human being (insan –e kamil) is at the top of the ideal programs of the society and the leader of the government (9:93).

Multiple images of Ayatollah Khomeini

Ayatollah Khomeini was a product of a historical dialectic. He lived through a tumultuous period in Iran’s history (Adib-Moghaddam 2014). In this study, we identify six images from him during his socio-political and religious life:

Ayatollah Khomeini, mystic and Mujtahid quietist (1920–1940)

According to Knysh (1992) Ayatollah Khomeini’s exposure to Islamic mystical philosophy can be concretely traced back as early as 1921, when at age 19, he followed his teacher and mentor Abd al-Karim Ha’iri (d.1937) to Qom. Having completed his seminary education in 1936, the thirty-four-year-old Khomeini received the title of Hojjat al-Islam and was officially deemed capable of “deriving his own rulings” and conducting his own classes; he began to develop a following.
Ayatollah Khomeini considers refinement to be the solution. He believes that the purpose and mission of the prophets was beyond the individual, that is, their goal was to ennoble society. A fundamental distinction should be noted here: many mystics have an esoteric attitude and define refinement only in the inner sphere of man but Ayatollah Khomeini had a societal approach and considered moral reform of the society necessary. Traditional Islam limited religion to the realm of the individual and devotional affairs but contrary to the theory of many mystics who invite man to avoid power and government, he got involved with power and government. On the contrary, he said “for a long time we were trapped by mystics, Islam was trapped by mystics. They have neglected it. Islam is everything. Islam came to make man” (Khomeini 1999, 8:530). In line with the importance of Ayatollah Khomeini’s mysticism, Javadi Amoli (2005, 85) believes that Khomeini had a place in the line of theorist mystics and at the same time, he was far from all of them. Indeed, he brought the foundations of mysticism to the public from a theoretical level.
In the 1950s, Ayatollah Khomeini spent most of his time teaching at the Feyziyya School, helping Boroujerdi to organize the endowment of Qom while writing his personal treatise, Towzih al-Masa’el (Questions Clarified). Political quietism and social conservatism best represent the dominant tradition of clerical Shi’ism at this moment (Mahdavi 2014a). In this understanding of Islam, the ruler and the world are separate; the ruler is in charge of world affairs and the religious cleric is engaged in the affairs of the hereafter and prayer. The ulema (clerics) guide the community in religious matters and remain responsible for the protection of the faith (Enayat 1982, 11).

Constitutionalist Ayatollah Khomeini (1940s–1960)

Ghamari Tabrizi (2014) suggests the transformation of Ayatollah Khomeini’s ideas reflected the changing social and political circumstances of his time: industrialization, the White Revolution (six point reform), the problems of marginalization, land reform, women’s suffrage, closing religious schools, depriving scholars of endowments, establishing a judicial institution instead of shari'ah courts, allowing the purchase and sale of alcoholic beverages, and establishing mixed schools are among important events in this era. During the 1940s Ayatollah Khomeini even held his own classes on mysticism (irfan), which were restricted to a few select individuals. Although Ayatollah Khomeini subsequently started to focus on other areas of teaching, particularly ethics (akhlaq), scholars have recognized that the legacy of irfan and its imperative of social engagement remained with Ayatollah Khomeini (Ridgeon 2014). One of the characteristics of Khomeini’s mysticism was the connection between politics and mysticism.
The central claim of Ayatollah Khomeini’s book The Unveiling of Secrets (Kashf al-Asrar 1942) was that religion and politics should not remain separate. Khomeini (1999, 30:2) states “Islam is not like Christianity, which is just a spiritual relationship between people and God. Islam has a plan for government.” As Arjomand (1988) has noted, The Unveiling of Secrets revealed him as a “staunch traditionalist” in defending the Shi’a clerical establishment against secular intellectuals and reformist clerics. It is important to say that, in this book, Ayatollah Khomeini still adheres to the principles of the Constitutional Revolution (Namazi 2019). During this period, Khomeini was against the Pahlavi monarchy but he did not reject the institution of the monarchy. So the dominant image of Khomeini from the 1940s to 1960 is constitutionalist. What he emphasized the most was the need for the king to respect the religion and allow more clerics to enter the parliament and make sure that the laws are in accordance with shari'ah. In The Unveiling of Secrets, he said that the ulema should have a supervisory role and guide the morals of the society (based on commanding right and forbidding wrong) and not interfere in the political sphere.
Culturally and politically, from the very start of his revolutionary activities in the 1960s, the West occupied a central position in Ayatollah Khomeini’s thoughts and discourse (Kamrava 2014, 168). Khomeini castigated the Shah for relinquishing Iranian independence, national sovereignty, and dignity (Keddie 2003). He and his followers reacted to a situation where Iran was felt to be a junior partner or puppet of the West, and in which cultural and economic Westernization of a certain type was occurring (Azimi 2014, 40). It was here that Khomeini stated that Islam is in danger from the attack of imperialism and Zionism from the outside and the monarchists and other secularists from the inside. However, he did not develop a new idea about the government and society until the late 1960s.

Ayatollah Khomeini as an activist - theorist (1961-1970)

These years coincide with the abolition of the Islamic calendar, the stability of the economy, and the repression of all political opposition. Ayatollah Khomeini’s theorizing about the good society continues in parallel to his thinking about the ideal government and politics. Until the 1970s, the traditional concept of society was a priority for him. He accepted the conventional paternalistic assumptions that: God had created both private property and society; society should be formed of a hierarchy of mutually dependent strata; the poor should accept their lot and not envy the rich; and the rich should thank God, avoid conspicuous consumption, and give generously to the poor (Abrahamian 1993, 27). For delineating the society, Khomeini refers to the Aristotelian concept of “human body.” The various strata were each part of an organic whole; the clergy—who Khomeini often defined as the “highest stratum” (qeshr-e bala)—had the responsibility of speaking out if the government did not carry out its main tasks (Abrahamian 1993).
When Ayatollah Khomeini made his major appearance on the political scene in 1963, it is quite possible that his perspective had changed. Through these critiques, his primary intention appears to be to galvanize the clergy into taking political action. Asserting that the regime was fundamentally opposed to Islam, in this period Khomeini began a direct clash against the Pahlavi regime. In the early 1960s he began to preach against the Shah in the Feyziyya school of Qom. In March 1963, on the anniversary of the martyrdom of Imam Ja’far al-Sadiq, the school was attacked by paratroopers and Savak, a number of students were killed, and Khomeini was arrested. Released after a short detention, he resumed his denunciations of the government and its policies (Keddie 2003). He was then exiled to Turkey. In Bursa, Turkey, Khomeini began to shift away from his “traditionalist” stance. He directed his critique primarily at the Iraqi Shi’a clergy for being unwilling to stand up in support of their repressed Iranian peers. “Why does Najaf sit idly and so sound asleep? Is our only duty to sit here studying the principles and details of religious law?” (1981).

Revolutionary Ayatollah Khomeini (1970 – 1979)

Ayatollah Khomeini was not the first figure who tried to theorize Islamic government. Since the 1970s, many Islamist thinkers have written treatises on the kind of Islamic state Islamists should be striving for (March 2019, 10). In these decades we confronted two main discourses in Iran: modern liberal discourse and religious discourse. The representative of the former are the Pahlavi dynasty, their apparatus, and some authors like Kasravi. On the other hand, the most important figures who had intellectual similarities with the discourse of the Iranian revolution were Al-e Ahmad, Bazargan, and Shariati.
Ali Shariati proposed Fanon’s theories in an Islamic framework. Shariati called for a renewal of the Islamic message and a reconsideration of the Qur’an as a socio-political conception (Omid 1994). Shariati criticizes the mistakes of Western democracy and presented the theory of “Ummah and Imamate.” He believes that the strong community of believers (Ummah) and religious leadership existed during the period of the Prophet of Islam and the infallible imams, and then during the occult period, it was transferred to liable jurisprudence. Many consider this theory to be the beginning of Guardianship of the Islamic Jurist1 (velayat e-faqih). He asserted “the ideal society of Islam is a society in which human beings are committed to gather in a common leadership. Therefore, the most important issue in the Islamic society is the Imamate and the leadership of the Islamic society” (Shariati 1978, 245). He supported Khomeini’s philosophy and thought and said: “Ayatollah Khomeini, who is the great authority of our age, is not the representative of the ruling spirit of the domain.” Shariati had understood that Khomeini had a basic demarcation with the majority of the traditional Shia movement, and he supported Ruhollah Ayatollah Khomeini’s ideas about the implementation of shari’ah in the age of occultation.
Another prominent figure was Al-e-Ahmad. His piercing and powerful essay, “Gharbzadegi” (Westoxication) (1962), in which he severely criticized the systematic acculturation of his homeland in dominant colonial terms, both economic and cultural, became the iconic emblem of an entire generation (Dabashi 2021). He argued that Iran was intoxicated or infatuated with Western technology, culture, products, and so had become a victim of the West's “toxins” or disease. Following Western standards and criteria in all the affairs of society and culture led to the loss of Iranian cultural identity; it has made Iran a customer of Western markets and a pawn in Western geopolitics. Al-e-Ahmad spearheaded the search by Western educated/secular Iranians for “Islamic roots,” although he advocated a return to Islam (Omid 1994). AI-e Ahmad believes in the capacity of clerics to engage in political campaigns and rebellion against tyranny and pursue the interests of Islam. He considered the clergymen’s political activism as a positive force that would propel the society to move forward and change.
Bazargan was a Muslim who participated in the meetings of Islamic groups. He believed that the secular bureaucracy had penetrated into the individual and collective lives of Iranians and therefore he was worried that the faith of Iranians would fade and Islam and religious practices would be marginalized. Bazargan was determined to reconcile the intelligentsia with Islam and tried to harmonize Islam and modernism (Omid 1994). He was the founder of Islamic associations in Iranian universities inside and outside Iran that had an essential role in the expansion of political Islam. In this way, by building institutions in the university and outside the university, Bazargan transformed political Islam from a discourse without a plan to a discourse with a strategy and an institutionalized plan (Omid 1994).
As it is crystalized, some features like the discourse of returning to oneself, ideological Islam, the link between politics and religion, merging Islam and modernity, and the goals of government toward the guidance of people are similar categories that we would trace in the discourse of earlier and latter Ayatollah Khomeini. Yet, we argue that although Khomeini has a singular and exceptional status and stature in constructing discourse of political Islam in Iran, he was on the path that Shia Muslim intellectuals had planned and conceptualized.
On an international level, Mawdūdī (1903–1979) is widely regarded as the founding thinker of modern Islamism, with extraordinary influence not only in South Asia but throughout the Muslim world. Mawdūdī’s writings represent the emergence of a particularly clear and stark articulation of the demand for God’s sovereignty to be acknowledged and upheld in modern Muslim states. Although Mawdūdī shares with many democrats and republicans the concern with domination in political life, for him secular democracy is another form of domination, usurpation, and idolatry (Freer 2020). Mawdūdī referred to his own vision as “Theo-democracy”—that is a divine democratic government, because under it Muslims have been given limited popular sovereignty under the suzerainty of God (Cengiz 2020). This intellectual horizon is subsequently followed by Sayyid Qutb and Ghannūshī subsequently. Vali Reza Nasr (1994) claimed that Ayatollah Khomeini wrote the book Islamic Government under the influence of Mawdūdī.
In 1970, while in his sixth year of exile and his fifth year living in the Iraqi Shi’a holy city of Najaf, Ayatollah Khomeini delivered a series of twelve lectures that together became his defining treatise on Islamic government. Mahdavi (2014b) believed that construction of the theory of Islamic government was a point of departure from constitutionalism to radicalism in the stance of Ayatollah Khomeini. He transformed the meaning of being a constitutionalist and stated, the Islamic government is constitutional in the sense that the rulers are bound by a collection of conditions defined by the Qur’an and the traditions of the Prophet (Mahdavi 2014a). In this book, Ayatollah Khomeini begins with the fundamental principle: Islam is a religion of law, and the Prophet’s mission above all was to bring God’s laws to human beings (Khomeini 1999, 9:14). Khomeini (1999, 5:170) stated, “In all dimensions, we have a rich divine law.” ‘‘Whatever is in [constitutional] accord with the law of Islam we shall accept and whatever is opposed to Islam, even if it is the constitution, we shall oppose’’ (15:76). At this stage, the clerics (ulema) led by Khomeini, withdrew the constitutional theory; gradually they stopped supporting the constitution and supported shari’ah and the Islamic political system.
In the thought of Ayatollah Khomeini, faith influences individual and collective practice, and the monotheistic view is binding and creates responsibility. “The most important thing for our country is Islamic commitment” he said (Khomeini 1999, 14:170). The manifestation of this kind of social participation, guidance, and supervisory guardianship is in commanding right and forbidding wrong. This guideline can also be the responsibility of the Muslim community and the Islamic government to each other. A good society is one in which people and political officials supervise each other. Therefore, people have a duty to monitor the orientations and policies of the government. Despite oversight and control as a common responsibility in a good society, relationships in this society are based on trust. Ayatollah Khomeini believes that in order to build mutual trust, it is necessary to avoiding arrogance and a domineering attitude. In addition, the ruler’s sincere relationship with the people based on mercy, forgiveness, and kindness helps strengthen trust. “If nations feel that governments have come to support and serve them, they become ready to serve more than ever. Do something to win people’s hearts. God is pleased with you when you find the base, power remains in your hands, and the people support you” (Khomeini 1999, 10:417).
Ayatollah Khomeini in this period depicted society antagonistic as sharply divided into two warring classes: the oppressed against the oppressors, the poor against the rich, the oppressed nation against the Satan's government, the slum dwellers against the palace dwellers, the lower class against the upper class, and the needy class against the aristocratic class (Abrahamian 1993, 30). To Khomeini as the revolutionary figure, political resistance against all idolatry (taqut), either in the form of a domestic despot such as the Shah or an arrogant foreign power (istikbar), became a religious obligation (Mahdavi 2014b). He argued that the monarchy causes the continuation of idolatry (shirk) and corruption in society. At this point, Khomeini declared the institution of the monarchy is illegal and illegitimate. He also said ‘‘our duty to preserve Islam’’ is by establishing an Islamic government (Algar 1981, 75-124).

Ayatollah Khomeini as an official political leader (1979–1987)

In the late 1970s, Ayatollah Khomeini’s popularity grew and his dream in Najaf gradually became reality (Rahnema 2014). After two decades of imprisonment, exile (1964 – 1978), and struggle, Khomeini came to political power and became a famous political leader and recognized as the leader of the revolution, the main architect of the Islamic Revolution, and the national and spiritual leader (Rahimi 2014, 298; Vahdat 2002). These years coincide with ratifying the new Iranian constitution by referendum. In addition, the U.S. Embassy was taken over by radical Iranian students and ultimately Iraq invaded Iran.
In the thought of Ayatollah Khomeini, the ruler whose “exalted” position is not entirely remote from the “philosopher-king” in the Platonic tradition, must have some characteristics. He must have knowledge of the law because Islamic government is the rule of law and not the arbitrary rule of persons (Mahdavi 2014a). It is the philosopher jurist who understands both shari’ah and its hidden meanings and is thus most qualified to rule (Hossainzadeh 2016). The ruling jurist in the thought of Khomeini mirrors the philosopher-king mystic of the Neoplatonic tradition who achieves the necessary qualifications of rule from his contact with the divine intellect through contemplation and mystical practices (Namazi 2019). Amanat (2007) claims that Ayatollah Khomeini’s thought has an unmistakable mystico-philosophical core that was colored by Shi’a legal trappings. In the same vein and more forcefully, Dabashi (1993) describes the ruler of Ayatollah Khomeini’s regime as the “philosopher king” in the Platonic understanding of the term.
Khomeini did not hesitate to try to combine the theory of religious authority with a form of republicanism. To emphasize the republican aspect, he states, “we are subject to the votes of the nation. The nation, no matter how and for whom it votes, we follow them. God and the Prophet of Islam has not given us the right to impose anything on our nation” (Khomeini 1999, 11:152). On the one hand, religious democracy (Mardom Salari -i- Dini) is a model of government that is based on divine legitimacy and, on the other hand, the acceptance of the people. It is a kind of “dual sovereignty” where law is both divinely decreed and exercised through the will of the people at the same time (Articles 6 and 56 outlined the need for popular sovereignty). While the concept of divinely guided guardianship required a religious theocracy, Ayatollah Khomeini could not ignore the democratic ferment. He addressed the issue by claiming that calling an Islamic republic democratic is redundant because democratic values are already inherent in Islam. He contended that to juxtapose “democratic” and “Islamic” is an insult to Islam. Because when you place the word “democratic” in front of “Islamic” it means that Islam is lacking in the alleged virtues of democracy. Arjomand (2009) described this model as “neither a democracy nor a dictatorship” but reflective more of the “distinctive and contradictory goals of the Islamic revolution.”
Bashiriyeh (2002) believes that the Pahlavi government's opposition and conflict with traditional forces, including the clergy and the market, and its support for the processes that led to the emergence of modern forces, polarized Iranian society and put traditional and modern forces in the form of modernism and traditionalism against each other. Ayatollah Khomeini was the only person who was able to articulate these two opposite approaches together. The presence of modernism and traditionalism can be found in the articulation of the two concepts “Islamic” and “Republic” together in the political-legal title of the government after the Iranian revolution. This modernism in political thought before the revolution shows itself in the form of concepts such as republic, people, law, and freedom. It can be said when Khomeini was in Paris, his speeches took on a democratic nationalist tone (Goldstein 2010, 59).
After the Islamic revolution and consolidation of power, traditionalism is highlighted by relying on concepts such as clerics, Islam, Ummah, Shari’ah, jurisprudence, and guardianship. Once the Iranian revolution was won, Khomeini explicitly refused to use the word democracy. He contended that democracy was a Western import and Islam sufficed. In the thought of Khomeini, democracy as a school is not compatible with Islam in its foundations. Ayatollah Khomeini (1981) rejects the term democracy because he feels it is a trap set by dupes of the West. “Those who shout for democracy are on the wrong path.” He criticizes Western democracy for the reason that it provides the basis for the spread of corruption and decadence. What exactly Khomeini meant by democratic values in this statement is, as in his use of “republic,” ambiguous. Hamid Algar, asked Khomeini to explain the nature of the “free elections.” He responded, “All parties will be free to exist in Iran, except those that clearly oppose the interests of the people, and the elections will also be free. Of course, we will make our recommendations to the people, which they may or may not follow.” He mentions elsewhere “we want the establishment of an Islamic Republic and it is a government based on public opinion. The final form of government according to the current conditions and requirements of our society will be determined by the people themselves” (Khomeini 1999, 11:79). March (2019, 221) suggested although there are anti-democratic elements in Khomeini’s perspective, it is a kind of republicanism and is confronted with many of the obstacles that are faced by all forms of republicanism.
All in all it seems Khomeini’s concern for this integration and reconciliation (Islam and modernity) remain at the level of an ideal. It can be said that Khomeini has a pragmatist approach in developing the modernist aspect of his political thought. In fact, this is an effort to present a new idea in the struggle with the dominant discourse of the Pahlavi era. When we talk about the modernist approach of Ayatollah Khomeini, we understand these modern aspects in a discourse context in comparison with anti-constitutional traditional clerics such as Navvab Safavi and Ayatollah Modares.
The Islamic Republic has succeeded in giving the clergy a prominent place in public life (Richard 2019). Certainly, the clerics owe this to Ayatollah Khomeini because his theory challenged the conventional interpretation of the Shi’a doctrine of Imamat, which states that the legitimate leadership of the Muslim community belongs to the Prophet and his twelve successors or Imams (Mahdavi 2014b). During the Occultation of the Hidden Infallible Imam, the leadership of the Ummah devolve upon the just and pious faqih [i.e., the Shia jurist], who is fully aware of the circumstances of his age; courageous, resourceful, and possessed of administrative ability, he will assume the responsibilities of this office in accordance with Article 107 (Edalatnejad 2022). Note that Article 5 carries a connotation that the leadership naturally belongs to the Hidden Imam and Shia jurists assume his leadership responsibilities only during the Occultation. Ayatollah Khomeini argued that if government is to be in line with divine law, it must be run under the guidance of those most knowledgeable in divine law, the faqih. Prior to the revolution, the clergy were non-political actors whose religious rulings and decrees were almost exclusively related to spiritual matters. Ayatollah Khomeini said ‘‘the ulema themselves will not hold power in the government,’’ but instead ‘‘exercise supervision over those who govern and give them guidance’’ (Khomeini 1999, 12:67). Khomeini mentioned in the book The Unveiling of Secrets that the clergy should not do anything other than promote the expansion of monotheism, the propagation the heavenly laws, and the refinement of morality but after the revolution he made the leap and said “know that only the clergy can do things in this country” (1981). According to him, they are not merely the bearers of the religious tradition, but they can act both as the interpreter and executor of the divine law that is progressive, evolving, and comprehensive system belongs exclusively to God Almighty (Khomeini 2010, 69).
In formulating the components of a good society, Khomeini used to eliminate, exclude, and marginalize others and then constructs binary opposition. He believed that we do not have one Islam; rather, we have different Islams, and not all of these Islams are valid (Khomeini 1999, 20:236). He defines different discourses about Islam based on otherness: American Islam and pure Muhammadian Islam. He introduces and elaborates secular Islam as “American Islam” and strongly rejects and condemns it. “American religion shouts at the people that religion is separate from politics; this view of religion is the opium of society” (Khomeini 1999, 21:8). American Islam is compatible with arrogance and serves American goals. American Islam is the capitalist Islam; it acts in accordance with Western principles and is dependent on colonialism and secularism. It seems that Khomeini’s approach to American Islam was reductionist and generalist, and it can be said that in reality, American Islam is not limited to one model and version. Ayatollah Khomeini’s inference and understanding of other examples of Islam is limited to the experience of modernization in Iran during the Pahlavi era and the period when he lived in France. He believed that colonialism limited Islam to a series of individual acts of worship which as a result does not create any social movement. In his view, we are deprived of authentic Islam and his plan is supposed to bring us to the ideal Islamic society and government. “We lost Islam. The Islam that we have now was completely separated from politics. Until we find Islam, until all Muslims find Islam, we cannot achieve our glory” (Khomeini 1999, 10:18).
Khomeini clarifies the boundaries with the other and said, “when we talk about Islam, it does not mean denying and avoiding progress but on the contrary, we believe that Islam is basically a progressive religion. In Islam, all forms of civilization are allowed except those that bring moral corruption” (Khomeini 1999, 5:262). Concerning freedom, Khomeini was severely critical and suspicious of libertarian conceptions of freedom. In an interview with the Dutch newspaper Die Welkrant before the revolution, he said that communists in the Islamic Republic were also free to express their views. However, after the revolution and seizing political power, he stated, “it is said that the press is free, expression is free. This does not mean that people are free to do whatever they want; for example, they are free to steal, to go to prostitutes, they are free to set up brothels. This is the freedom of the West” (Khomeini 1999, 7:150). According to him, it is necessary for individual interests to be restricted in some cases for the growth of society. In this sense, individual freedoms are realized and find meaning within the framework of divine laws. He said if by “the manifestations of civilization and innovations” they mean inventions and new products and advanced technology which contribute to the progress of man and his civilization, the idea has never been, nor will it ever be opposed by Islam but if civilization and modernity is to be interpreted as liberty to engage in religiously prohibited acts, including prostitution and even homosexual relations, then I can only say that the idea is invariably opposed by all divine religions and people (Khomeini 1990, 20).
After the negation of others, he introduces the desirable Islam. The desirable Islam is a Shi’a Islam called the “pure Muhammadian Islam.” “This is the authentic Islam in which there are no defects and shortcomings after the Holy Prophet of Islam” (Khomeini 1999, 21:448). He said that the Islamic Republic also paves the way for the establishment of authentic Islam in society (15:113). The good society as a whole is a monotheistic society. Our findings suggest the root of all components of a good society is in monotheism. In this regard, Ayatollah Khomeini believes, “we are all integrated under the banner of monotheism. Monotheism is the religion of all” (8:23). “The origin and principle of all those beliefs is the principle of Monotheism” (5:387). A monotheistic school (maktab-i towhid) means the permeation of all aspects of state and society by the moral values of Islam so as to create a righteous society, full of moral individuals, able to resist the encroachments of all forms of foreign influence and to fortify Islam (Martin 2000). Ayatollah Khomeini was aware of the demands for a new Muslim internationalism (Aydin 2017, 218). So throughout the 1980s, he redefined the meaning of the Muslim world as a postcolonial region still humiliated primarily by the United States, its European allies such as the British, and the postcolonial Muslim elites allied with the West, such as the Saudi and Egyptian leaders (Aydin 2017, 70). In his doctrine, a good society in its social formation is synonymous with the Ummah. One of the main differences between the Islamic system and contemporary political schools is the demarcation between the “nation” and the “Ummah.” Contrary to widespread assumptions, the term “Muslim world” does not derive from Ummah, a concept as old as Islam, which is related to the Muslim community. Instead, the phrase of the “Muslim world” began to develop in the nineteenth century. The concept of “Ummah” is used when the Qur'an refers to a large community of believers. Members of the Ummah neither lived in one land nor were they subject to one political authority. In a speech after the revolution, Ayatollah Khomeini stated, “nationalism is the basis of the misery of Muslims. Islam seeks unity based on religious belief” (1980). In a good society, any racial, national, patriotic, geographical, partisan, and linguistic differences must be eliminated and these things should not be a cause of privilege, honor, and prestige. The ideal monotheistic society which is based on the ideal of unity and brotherhood is a “unitary community” (Ummah). Ayatollah Khomeini considered two aspects of Iranianness and Islamism for the Iranian people. The dimension of Islamism is more obvious in his thought. Richard (2019, 249) argues that when using the term mellat, which is often translated as “nation,” he probably meant it in the traditional sense of “religious community” rather than the people constituted in a nation and politically organized. Islam considers the nature of all human beings from a single and divine deity. “It is Islam that unites all classes and creates a great solidarity” (Khomeini 1999, 14:28). According to him, the nation in its modern sense is valid as long as it does not face Islamism. Nationalism in the sense of land does not contradict Islam, but what contradicts Islam is the priority of nationality over Islam and religious values. Based on Islamic thoughts, nationalism is a form of racism, colonization, and exploitation of societies (Table 2).
Pure Muhammadian Islam, advocates for the deprived, the barefoot, the afflicted, and the oppressed. Ayatollah Khomeini had stated in his treatise on Islamic Government that Islam does not allow masses to remain hungry and deprived while plundering oppressors live in opulence (Nomani and Behdad 2006). To alleviate poverty, to solve the problem of the deprived classes, and to prevent the formation of rich classes, Islam has solutions the most important of which is the payment of alms (zakat), interest-free loans (Qarz al-Hasna), charity, benevolence, feeding the hungry, and one-fifth (Khums) of wealth and extra income.2 In a good society, wealth is distributed among the people in such a way that orphans, the poor masses (the mostazafin, as Ayatollah Khomeini called them) are considered so much that as the Qur’an commands wealth must not circulate among the rich (Khomeini 1999, 20:342).
As Abrahamian (1993) mentioned one of the changes in Khomeini’s perspective can be seen in the use of the word mostazafin. In his early writings, it has the Qur’anic sense of the “humble” and passive believers, including orphans and the mentally impaired. However, in the 1970s, he used it to portray the irate poor, the “exploited” human, and the “downtrodden masses.” (Abrahamian 1993, 34). After the founding of the desired government, Khomeini emphasized the importance of the coordination of the middle class with the lower one. He always compared all the inhabitants of the country to the oppressed nation. During this period, he said that Islam demands a harmonious relationship between industrialists and workers, landlords and farmers.
The good society is a society that meets the basic needs of individuals. Ayatollah Khomeini was obviously not beholden to Western capitalist ideals of prosperity, nor did he believe those ideals had a place in an Islamic society. In a good society, public welfare is not an end in itself but the good government has the duty of providing it in order to prepare the ground for spiritual refinement and excellence on the part of human beings.
Khomeini believed “equality in terms of the law” and “equality of social opportunities” are two important indicators of social justice. The need for social justice in a good society is linked to the institution of economy. “Economy is not a goal but a means to a higher goal (Khomeini 1999, 8:85)”. He considers the ultimate goal of the economic system to be self-purification and morality. He notes, “Islam does not aim at accumulating wealth but considers it as a means to create prosperity and social justice in society” (6:17). He argued the Islamic economic system is not defined by capitalism or socialism but the tradition of Islam and the Qur’an. He stated: Islam, unlike communism, recognized private property; that his followers had no intention of confiscating factories and farms; that the Islamic Revolution, unlike others, would not endanger people's possessions; and that the new order, in sharp contrast to the old one, would fully respect the privacy of people's homes (Abrahamian 1993: 42).

Ayatollah Khomeini as the absolute guardianship of the Islamic jurist (1987–1989)

Before the revolution, Ayatollah Khomeini believed the rulers do not have absolute power and that their power is limited. Islamic government is not authoritarian or absolute but rather conditional. The Qur’an and the tradition (Sunnah) of the Prophet bind the rulers (Khomeini 1970, 53). This divine law is above all. "The law rules, the person does not rule. That person, even if he is the messenger of God, is all subject to the law” (Khomeini 1999, 7:13). He maintained that the constitutional provision for the velayat-e faqih is structured in such a way that it could not lead to tyranny or to a lesser extreme “harm anyone.” Islam opposes any tyranny and dictatorship. He asserted, “particular attributes have been set down as necessary for the holder of authority and the faqih. The law should bind everyone, even if it is against his or her will. You have to accept; because the measure is the majority” (5:85). In the first decade after the triumph of the revolution (1987–1989), the last political perspective of Ayatollah Khomeini emerged. In 1989, Khomeini established a Constitutional Review Council to revise the 1979 Constitution and instructed the council in a letter to drop the requirement of religious authority (marjaʿiyyat) for the position of leadership (Namazi 2019). In this new adjustment and modification, the political leader does not need to be a source of emulation. Ayatollah Khomeini argued that it suffices for the Supreme Leader to be a Shi’a jurist (Namazi 2019).
In this vein, the 1989 constitutional amendment increased the function of the clergy in Iran’s hierarchy of policy making and expanded their sphere of power and rule. It made it explicit that the vali-e faqih held “absolute” power by adding the phrase “motlaqeh” to Articles 107–110, defining his total authority (Mahdavi 2014a). In the 1970s, Ayatollah Khomeini assumed that “the law of Islam, divine command, has absolute authority over all individuals and the Islamic government” (Khomeini 1990, 34). But in his new doctrine, he argued that the Shi’a jurist ruling over the Islamic regime can abrogate the Islamic laws if he believes that the implementation of those laws is incompatible with the interests of Islam or the country (Namazi 2019). However, Ayatollah Khomeini stated we want to curb dictatorship not to be dictators ourselves (Khomeini 1999, 6: 49). Some experts suggested velayat-e faqih means having power over all affairs to prevent them from going astray. It provided no effective mechanisms of accountability by which the populace would be protected from tyrannical rule.

Conclusion and discussion

During Ayatollah Khomeini’s lifetime his utopian vision emerged but it embodied itself gradually as he reinvented his image in distinguishes phases and stages. We assert that the Islamic model for good society based on pure Muhammadian Islam is a theocratic model in which the concept of divine sovereignty finds a prominent place in public life. Khomeini identified the Islamic model of good society as a moderate system that is located in the middle of the political spectrum between Marxism/communism on one end and capitalism on the other. This model is neither Eastern nor Western. It is obvious that Khomeini tries to theoretically get rid of universal ideas and find a third way, non-capitalist and non-communist, towards progress and the construction of contemporary society.
Scholars are not unanimous about him and his legacy. For some scholars, such as Samuel Huntington (1996) and Bernard Lewis (2002) the Iranian revolution and its ensuing Islamist social movements amounted to a reactionary retreat from a rapid modernization. They warned about the perils of Islamic fundamentalism. On the contrary, Abrahamian (1993) argues Ayatollah Khomeini is not a fundamentalist since fundamentalism implies the rejection and negation of the modern world. As we mentioned, our goal was to problematize the image that has clouded Western perceptions of the late Iranian leader. We believe that these assumptions are orthodox and inadequate interpretations. Although we observe some kind of antagonism in stances of Ayatollah Khomeini, we witness reconciliation in his integration and harmonization of concepts. Accordingly, some scholars have understood Ayatollah Khomeini as a progressive thinker whose philosophical endeavors, regardless of their practical outcomes, highlight the importance of reconciling Islam and modernity. For instance, Kadivar (2009) believes while Khomeini’s attempt to resolve the conflict between Islam and modernity is laudable, his means of doing so through the absolute institution of faqih is dissonant with both Islamic and secular understandings of justice.
Over several decades, Ayatollah Khomeini experienced a voluntary and compulsory odyssey-like journey, the result of which was theorizing about a good society and Islamic government. From the young Ayatollah Khomeini to the late “Imam” Khomeini, there were several images which are attributed to him; his thought has a Janusian aspect and is multi-layered. As Azimi and Osanloo (2014) suggested Khomeini’s rhetoric was often ambivalent, ambiguous, and contradictory, and there are some breaks along his thought. In the first stage, he transitions from traditional Islam to political Islam, and in the second stage, he promotes the role of clerics from the traditional role of supervision to the role of leadership and political responsibility. We believe that in a historical context, we encounter some ostensible paradoxes in his debates. Due to its dual and contradictory nature, the Iran's judicial legal system recognizes some of the individual rights of citizens. In addition, his doctrine is highly elitist because he believes that ordinary people have not the ability to distinguish between good and bad therefore they need religious political guidance (ulema). He did not explicitly address the issue of individuality because he considered the completely modern concept of individual rights unacceptable. Sovereignty does not belong to people; although it is assumed that they are responsible for their own destiny. Ayatollah Khomeini chose to couch his visions for Islamic governance in vague terminology that seemed at least implicitly to suggest a commitment to democratic values and popular sovereignty. In terms of legislation, the legislature consists of a parliament elected by the people based on shari'ah and the right to legislate belongs exclusively to God. At the same time, Article Six of the Constitution validates citizen’s participation in the matters of the country. The Constitution guarantees freedom of the press and peaceful assembly, if it does not violate the principles of Islam. Individual freedoms, participation, and man-made legislation are all conditional (to Islam and shari'ah) and rest on some theocratic assumptions.3
Ayatollah Khomeini articulated his theoretical plan in the face of the other. The internal other was the Pahlavi dynasty and the foreign others were the US, Western cultures, and Zionism. Ironically the other gradually changes Ayatollah Khomeini. As Zibakalam mentioned (2014, 296) by the standards of the conservative clerical establishment, Khomeini was viewed as a socially liberal cleric. We remember that the young Khomeini was against the social and cultural reforms of the Pahlavi dynasty and the White Revolution. Despite the opposition of hardline clerics and devotees of Islam, the law of Iran and Ayatollah Khomeini’s speeches recognized women’s right to vote, to have gainful employment, to be present in the social space, and to get elected to parliament. In addition, we would consider the modern aspect of Khomeini’s thought in his book (1943) The Unveiling of Secrets and the essay “Islamic Government” in terms of popular and religious governance (as shown by some scholars like Kadivar 2009 and Hossaienzadeh 2016). We would also mention that the dynamics of religious jurisprudence and restrictions on politicians to be confined to the law are significant traits in Khomeini’s progressive doctrine. His courage in criticizing traditional figh whilst remaining appreciative of it, is laudable, as is his acknowledgement of the fact that the accepted methods of formulating opinions in fiqh were ineffective when it came to dealing with the problems of the modern world. Indeed, Ayatollah Khomeini was a unique figure who was able to articulate these two opposing aspects in his thought.

ORCID iD

Footnotes

1. Mandate of the Jurist.
2. In Islamic legal terminology, it means “one-fifth of certain items which a person acquires as wealth, and which must be paid.” The Qur’an mentions it in the following verse.
3. The Constitution of the Islamic Republic of Iran has recognized the legitimate freedoms by underlying some limitations such as “obeying the religious rules,” “adjusting with Islamic principles and standards,” “considering public interests and rights,” “preserving independence, national unity and territorial integrity of the country.”

References

Abrahamian Ervand. 1993. Khomeinism: Essays on the Islamic Republic. Berkeley: University of California.
Adib-Moghaddam Arshin. 2014. A Critical Introduction to Khomeini. Cambridge: Cambridge University Press.
Amanat Abbas. 2007. “From Ijtihad to Wilayat-i Faqih: The Evolution of Shiite Legal Authority to Political Power.” In Sharia: Islamic Law in Contemporary Context, edited by Amanat Abbas, Griffel Frank, 120–36. Stanford: Stanford University Press.
Arjomand Said Amir. 2009. After Khomeini: Iran Under His Successor. Oxford: Oxford University Press.
Arjomand Said Amir. 1988. “Ideological Revolution in Shi’ism.” In Authority and Political Culture in Shi’ism, edited by Arjomand Said Amir, 178-209. Albany: State University of New York Press.
Aydin Cemil. 2017. The Idea of the Muslim World: A Global Intellectual History. Cambridge, MA: Harvard University Press.
Azimi Fakhreddin. 2014. “Ayatollah Khomeini and the White Revolution.” In A Critical Introduction to Khomeini, edited by Adib-Moghaddam Arshin, 19-42. Cambridge: Cambridge University Press.
Bashiriyeh Hossein. 2002. An Introduction to The Political Sociology of Iran: The Period of The Islamic Republic of Iran, Tehran: Negah -e Moasser Publication.
Cengiz Fatih Çağatay. 2020. Turkey: The Pendulum between Military Rule and Civilian Authoritarianism, Boston: Brill.
Dabashi Hamid. 1993. Theology of Discontent: The Ideological Foundation of the Islamic Revolution in Iran. New Brunswick: New York University Press.
Dabashi Hamid. 2021. The Last Muslim Intellectual: The Life and Legacy of Jalal Al-e Ahmad. Edinburgh: Edinburgh University Press.
Edalatnejad Saeid. 2022. The Legal Status of Non-Muslims in the Shiite Fiqh and Iranian Laws (1906-2020). Leiden: Brill.
Enayat Hamid. 1982. Modern Islamic Political Thought. Austin: University of Texas Press.
Farhi Farideh. 2003. “The Politics of Reform in the Islamic Republic of Iran.” In Islam and Political Legitimacy, edited by Akbarzadeh Shahram, Saeed Abdullah, 50-69. New York: Routledge Curzon.
Flick Uwe. 1998. An Introduction to Qualitative Research. Michigan: Sage Publications.
Freer Courtney. 2020. “Islamism, Radicalism, and Popular Sovereignty.” Journal of Middle Eastern Studies 56, no. 4: 683–686.
Ghamari-Tabrizi Behrooz. 2008. Islam and Dissent in Post-revolutionary Iran: Abdolkarim Soroush, Religious Politics and Democratic Reform. London: I.B. Tauris.
Ghamari-Tabrizi Behrooz. 2014. “The Divine, the People, and the Faqih: On Khomeini’s Theory of Sovereignty.” In A Critical Introduction to Khomeini, edited by Adib-Moghaddam Arshin, 211-238. Cambridge: Cambridge University Press.
Goldstein Warren S. 2010. “Secularization and the Iranian Revolution.” Islamic Perspective 4, 50-67.
Hossainzadeh Nura. 2016. “Democratic and Constitutionalist Elements in Ayatollah Khomeini’s Unveiling of Secrets and Islamic Government.” Journal of Political Ideologies 21, no. 1: 26-44.
Huntington Samuel P. 1996. The Clash of Civilizations and the Remaking of World Order. New York: Simon & Schuster.
Javadi Amoli Abdullah. 2005. Velayat al-Faqih: The Province of Jurisprudence and Justice. Tehran: Asra Publication.
Kadivar Mohsen. 2009. “Human Rights and Intellectual Islam.” In New Directions in Islamic Thought: Exploring Reform and Muslim Tradition, edited by Vogt Kari, Larsen Lena, Moe Christian, 47-73. London: I.B. Tauris.
Kamrava Mehran. 2014. “Ayatollah Khomeini and the West.” in A Critical Introduction to Khomeini, edited by Adib-Moghaddam Arshin, 149-169. Cambridge: Cambridge University Press.
Keddie Nikki Keddie. 2003. Modern Iran: Roots and Results of Revolution. New Haven, CT: Yale University Press.
Khomeini Ruhollah. 1943. Kashf al-Asrar (The Unveiling of Secrets). Tehran: Safar Publication.
Khomeini Ruhollah. 1981. “Islamic Government.” In Islam and Revolution: Writings and Declarations of Imam Khomeini (1941–1980), edited by Algar Hamid, 55-86. London: Mizan Press.
Khomeini Ruhollah. 1999. Imam Khomeini’s Sahifeh (Vols: 4, 5, 6, 7, 8, 9, 10, 11, 14, 20, 21, 30). Tehran: The Center for Publishing the Works of Imam Khomeini.
Khomeini Ruhollah. 2010. Explanation of Forty Hadiths. Tehran: Imam Khomeini Education and Research Institute.
Khomeini Ruhollah. 1990. Imam’s Final Discourse: The Text of the Political and Religious Testament of the Leader of the Islamic Revolution and the Founder of the Islamic Republic of Iran, Imam Khomeini. Tehran: Ministry of Guidance and Islamic Culture.
Kian Azadeh. 2014. “Gendered Khomeini.” In A Critical Introduction to Khomeini, edited by Arshin Adib-Moghaddam, 170–192. Cambridge: Cambridge University Press.
Knysh Alexander. 1992. “Irfan Revisited: Khomeini and the Legacy of Islamic Mystical Philosophy.” The Middle East Journal 64, no. 4: 631-653.
Lewis Bernard. 2002. What Went Wrong? Western Impact and Middle Eastern Response. New York: Oxford University Press.
Mahdavi Mojtaba. 2014a. “One Bed and Two Dreams? Contentious Public Religion in the Discourses of Ayatollah Khomeini and Ali Shariati.” Journal of Studies in Religion 43, no. 1: 25-52.
Mahdavi Mojtaba. 2014b. “The Rise of Khomeinism: Problematizing the Politics of Resistance in Pre-Revolutionary Iran.” in A Critical Introduction to Khomeini, edited by Adib-Moghaddam Arshin, 43-68. Cambridge: Cambridge University Press.
March Andrew. F. 2019. The Caliphate of Man: Popular Sovereignty in Modern Islamic Thought. Cambridge: Harvard University Press.
Martin Vanessa. 2000. Creating an Islamic State: Khomeini and the Making of a New Iran. London: I.B.Tauris & Co Ltd.
Mirsepassi Ali. 2003. Democracy in Modern Iran: Islam, Culture and Political Change. New York: New York University Press.
Mirsepassi Ali, Keshavarzian Arang. 2021. Global 1979 Geographies and Histories of the Iranian Revolution. Cambridge: Cambridge University Press.
Namazi Rasoul. 2019. “Ayatollah Khomeini: From Islamic Government to Sovereign State.” Journal of Iranian Studies 52, no. 1: 111-131.
Nasr ValiReza. 1994. The Vanguard of the Islamic Revolution: The Jama`at-i Islami of Pakistan. London: I.B.Tauris & Co Ltd.
Nomani Farhad, Behdad Sohrab. 2006. Islam and the Everyday World: Public Policy Dilemmas. Abingdon: Routledge Publisher.
Omid Homa. 1994. Islam and the Post-Revolutionary State in Iran. New York: The Macmillan Press.
Osanloo Arzoo. 2014. “Ayatollah Khomeini’s Legacy on Women’s Rights and Roles in the Islamic Republic of Iran.” In A Critical Introduction to Khomeini, edited by Adib-Moghaddam Arshin, 239-255. Cambridge: Cambridge University Press.
Owen John M. 2016. Confronting Political Islam: Six Lessons from the West's Past. Princeton: Princeton University Press.
Rahimi Babak, 2014 “Contentious Legacies of the Ayatollah.” In A Critical Introduction to Khomeini, edited by Adib-Moghaddam Arshin, 291-306. Cambridge, UK: Cambridge University Press.
Rahnema Ali. 2014. “Ayatollah Khomeini’s Rule of the Guardian Jurist: From Theory to Practice.” In A Critical Introduction to Khomeini, edited by Adib-Moghaddam Arshin, 88-114. Cambridge: Cambridge University Press.
Richard Yann. 2019. Iran: A Social and Political History since the Qajars. Cambridge: Cambridge University Press.
Ridgeon Lloyd. 2014. “Hidden Khomeini: Mysticism and Poetry.” In A Critical Introduction to Khomeini, edited by Adib-Moghaddam Arshin, 193-210. Cambridge: Cambridge University Press.
Sabet Amr G.E. 2014. “Wilayat al-Faqih and the Meaning of Islamic Government.” In A Critical Introduction to Khomeini, edited by Adib-Moghaddam Arshin, 69-87. Cambridge: Cambridge University Press.
Saldana Johnny. 2009. Coding Manual for Qualitative Researchers. London: SAGE Publications.
Sardar Ziauddin. 2006. How Do You Know: Reading Ziauddin Sardar on Islam, Science and Cultural Relations. London: Pluto Press.
Shariati Ali. 1978. Ummah and the Imamate. Tehran: Sepideh Bavarn Publication.
Stempel John. 1981. Inside the Iranian Revolution. Bloomington: Indiana University Press.
Vahdat Farzin. 2002. God and Juggernaut: Iran’s Intellectual Encounter with Modernity. New York: Syracuse University press.
Zibakalam Sadeq. 2014. “To Rule, or Not to Rule? An Alternative Look at the Political Life of Ayatollah Khomeini between 1960 and 1980.” In A Critical Introduction to Khomeini, edited by Adib-Moghaddam Arshin, 256-274. Cambridge: Cambridge University Press.

Biographies

Arash Hasanpour has a PhD in Sociology from Isfahan University of Iran. His interests are in sociology of religion, film studies, and qualitative research methods.
Ali Rabbani is an Associate Professor in the Department of Social Sciences, Isfahan University. His research interests are in sociology of religion, sociology of science, and qualitative research methods.